Skip to main content
U.S. flag

An official website of the United States government

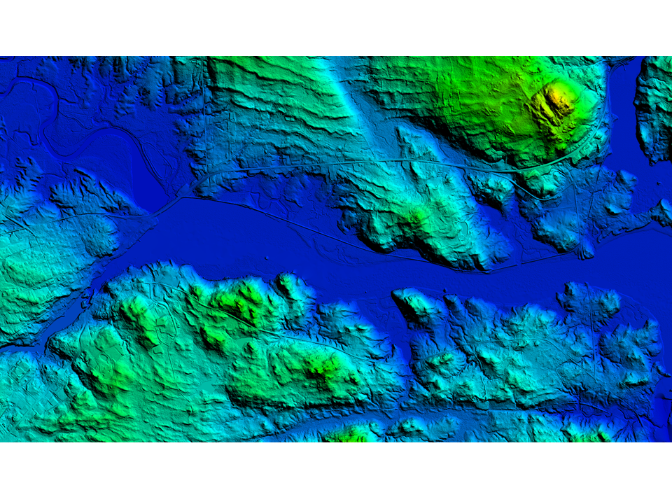
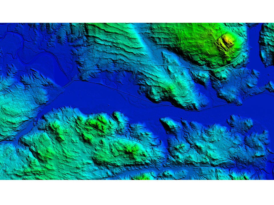
Neospatial Northeast Lidar

2010 (approx.)

Detailed Description

Lidar for the Northeast was collected for areas of New York, Connecticut, Massachusetts, New Hampshire and Maine in late 2010 through May 31, 2011. 

Sources/Usage

Public Domain.

Was this page helpful?